Siêu bão Ragasa sắp vào Biển Đông, hiện có hai kịch bản về cường độ và hướng di chuyển, nhưng khu vực chịu tác động chính vẫn là Bắc Bộ và Bắc Trung Bộ. Dự báo 13h ngày 25/9, bão trên vùng biển Quảng Ninh – Ninh Bình, cường độ cấp 12-13.
Ông Nguyễn Văn Hưởng – Trưởng phòng Dự báo thời tiết, Trung tâm Dự báo khí tượng thủy văn quốc gia vừa đưa ra những đánh giá, nhận định về diễn biến siêu bão Ragasa.

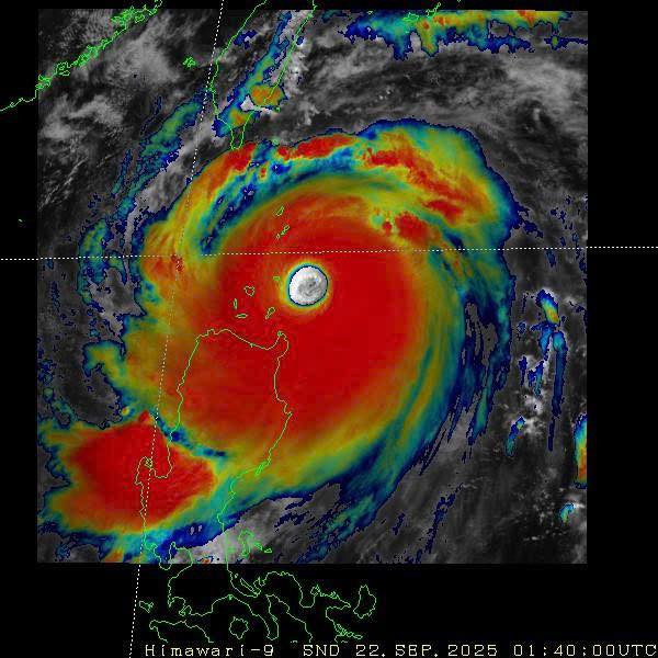
Theo đó, các chuyên gia đánh giá, Ragasa là một siêu bão rất mạnh, khoảng chiều tối nay (22/9) đi vào Biển Đông và trở thành cơn bão số 9 trong năm 2025.
“Đây là một trong 6 cơn bão mạnh nhất trong vòng 50 năm qua trên Biển Đông và khả năng vượt cường độ bão Yagi năm 2024”, ông Hưởng nói.
Được đánh giá là siêu bão rất mạnh nên hoàn lưu phía Tây, dù bão còn rất xa, nhưng vùng ven biển của Vịnh Bắc Bộ, thậm chí cả những khu vực biển phía Nam, từ Lâm Đồng đến Cà Mau, An Giang,… có thể xuất hiện giông, lốc trước bão.
Ông Hưởng nhấn mạnh: “Đây là hiện tượng rất nguy hiểm với tàu thuyền ven bờ mà người dân thường rất chủ quan. Khi bão ảnh hưởng khu vực Vịnh Bắc Bộ sẽ gây ra gió mạnh, sóng lớn nên ngay từ thời điểm này, ngư dân, bà con trên lồng bè cần có phương án ứng phó bão mạnh. Còn bà con ở vùng trọng tâm bão ảnh hưởng, khả năng là Bắc Bộ, Thanh Hóa, Nghệ An và Hà Tĩnh cũng cần có phương án chằng chống nhà cửa để đảm bảo an toàn cho người và tài sản”.
Hướng di chuyển khó lường
Cũng theo ông Hưởng, khi vào Biển Đông, siêu bão Ragasa có hướng di chuyển khá phức tạp và dự báo có hai kịch bản.
Kịch bản thứ nhất, siêu bão Ragasa (tức bão số 9) di chuyển hướng Tây Tây Bắc và hướng đến phía Nam vùng biển Quảng Đông (Trung Quốc). Với đường đi này, bão sẽ ma sát với đất liền của Trung Quốc, cường độ suy yếu đi từ 2-4 cấp khi vào Vịnh Bắc Bộ.
Kịch bản thứ hai xấu hơn, đó là bão di chuyển theo hướng Tây, khi vào Vịnh Bắc Bộ sẽ có cường độ rất mạnh; từ đó gây ra những tác động mạnh như mưa lớn, gió mạnh cho khu vực Bắc Bộ, Bắc Trung Bộ.
Ngoài ra, thêm một hình thái thời tiết rất đáng lưu ý trong thời điểm bão Ragasa vượt qua bán đảo Lôi Châu (Trung Quốc) đi vào Vịnh Bắc Bộ ngày 25-26/9, là có khối không khí lạnh ở phía Trung Quốc dịch chuyển xuống nước ta. Diễn biến không khí lạnh này sẽ làm thay đổi cường độ, hướng đi và vùng tác động của cơn bão số 9. Vì vậy, trung tâm khí tượng sẽ tiếp tục cập nhật thông tin trong thời gian tới.
Mưa lớn diện rộng khắp miền Bắc đến Bắc Quảng Trị
Theo các chuyên gia, siêu bão Ragasa có khả năng giữ được cường độ siêu bão (cấp 16-17) trong 48 giờ tới, trước khi suy yếu dần từ 24/9. Khoảng sáng 25/9, bão đi vào Vịnh Bắc Bộ; sau đó đến trưa, bão trên vùng biển Quảng Ninh – Ninh Bình, cường độ lúc này khả năng giảm còn ở cấp 12-13, giật cấp 16.
“Từ hôm nay (22/9), vùng biển phía Đông của khu vực Bắc Biển Đông bắt đầu chịu tác động của hoàn lưu bão với cường độ cấp 8-9, vùng gần tâm bão đi qua mạnh cấp 15, giật cấp 17, sóng biển cao trên 10m.

Khu vực biển Vịnh Bắc Bộ ngày 24/9, dù bão chưa di chuyển vào, nhưng đã có gió mạnh cấp 6-7, sau tăng lên cấp 8-10, vùng gần tâm bão đi qua cấp 11-13, giật trên cấp 16, sóng biển cao 5-7m; biển động dữ dội, kèm theo đó là mưa giông, lốc sét và gió giật mạnh”, ông Hưởng nhận định.
Đối với thời tiết trên đất liền, theo ông Hưởng, đang có hai kịch bản có thể xảy ra như trên, nhưng dù hướng nào thì khu vực chịu tác động vẫn là Bắc Bộ và Bắc Trung Bộ, gây ra một đợt mưa lớn trên diện rộng.
“Khu vực gió mạnh trải dài ở ven bờ từ Quảng Ninh đến Hà Tĩnh, thậm chí có thể mở xuống phía Bắc Quảng Trị”, ông Hưởng lưu ý.
Bão số 9 Ragasa vào đến vùng biển Quảng Ninh – Ninh Bình ở cấp 12-13
Đến 13h ngày 22/9, tâm siêu bão Ragasa cách đảo Lu-Dông (Philippines) khoảng 140km về phía Bắc. Sức gió mạnh nhất gần tâm siêu bão cấp 17 (202–221 km/h), giật trên cấp 17. Di chuyển theo hướng Tây Tây Bắc, tốc độ khoảng 20-25km/h.
Đến 13h ngày 23/9, tâm siêu bão trên vùng biển phía Đông Bắc khu vực Bắc Biển Đông; giữ nguyên hướng, tốc độ và cường độ cấp 17, giật trên cấp 17.
13h ngày 24/9, bão vẫn di chuyển Tây Tây Bắc, 20-25km/h, vị trí tâm bão trên vùng biển phía Bắc khu vực Bắc Biển Đông, cách bán đảo Lôi Châu (Trung Quốc) khoảng 230km về phía Đông; cường độ giảm còn cấp 15-16, giật trên cấp 17.
Trong 24 giờ sau đó, bão đổi hướng, di chuyển Tây Tây Nam, khoảng 20km/h và suy yếu dần. Đến 13h ngày 25/9, vị trí tâm bão trên vùng biển Quảng Ninh đến Ninh Bình, cường độ tiếp tục giảm, ở cấp 12-13, giật cấp 16.
Từ 72 đến 120 giờ tiếp theo, bão di chuyển theo hướng Tây Tây Nam, mỗi giờ đi được khoảng 20km, cường độ tiếp tục suy yếu thêm.